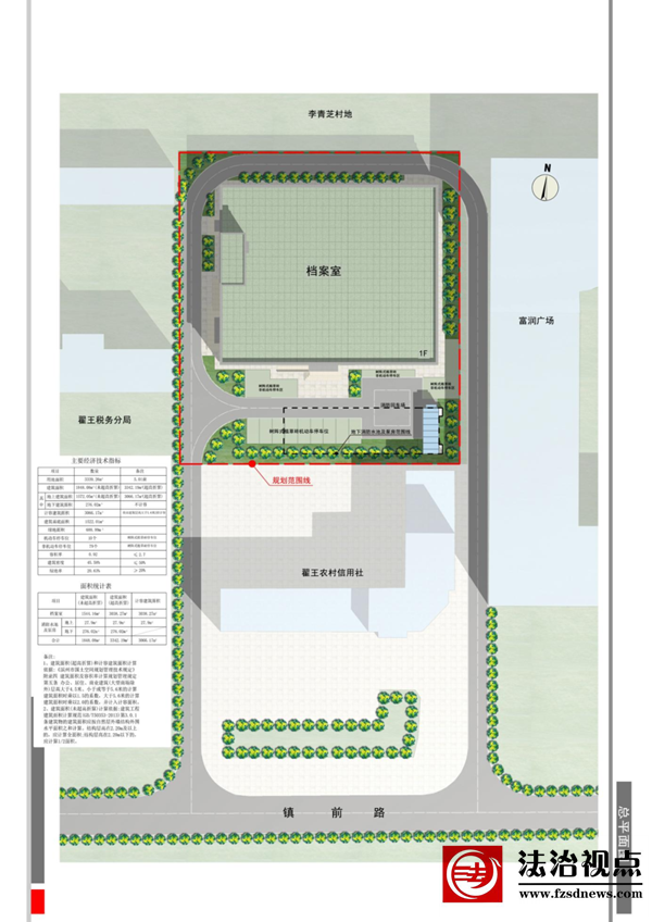
《阳信农商银行档案室建设项目规划设计方案》于2025年7月15日批复实施。阳信农商银行档案室建设项目位于阳信县翟王镇阳信农商银行翟王支行院内。建设单位是山东阳信农村商业银行股份有限公司。编制单位是滨州市建筑设计研究院有限公司。项目规划用地面积3339.26㎡,总建筑面积1848.08㎡(按未超高折算),3342.19㎡(按超高折算)。容积率0.92.建筑密度45.58%,绿地率20.63%。
根据《山东省城乡规划条例》第三十七条规定,现对《阳信农商银行档案室建设项目规划设计方案》相关内容进行公告。


